閉鎖された法14条第1項地図からの座標値の読み取り方法

 現在の法14条第1項地図(以下法14条地図という。)は,地図管理システムからの地図の打ち出しになっています。これから説明する事はしっくりこないかもしれませんが,閉鎖された法14条第1項地図(以下地籍図14条地図という。)で簡単に確認出来ることですので,試してみてください。

 ●読み取り方

読み取り方については,皆さんプラニメーターやデジタライザーをお持ちですので,今更説明する必要はないと思いますが,ちょっとおさらいのつもりで聞いて下さい。

地籍図14条地図の様式を今回の読み取りに必要な部分だけ簡単に下記に記載しました。本来,一番外枠の図郭線を使用して,読み取るのが一番正確です。境界点から図郭線までの垂線を下ろし,その垂線の距離を計測してください。我々調査士の対処するのは1筆地ですので,その1筆地を囲む形になる図郭内の図郭線交さ記号(トンボ)を使用して読み取る方法が一般的でしょう。

図郭内の区郭線交さ記号(トンボ)は10p単位で表示されていますので,1区角が10p区角となり1/500の地図であれば50mを表示しています。この地図の右下の表示は5 W +40.80 / 92.20 となっており,最初の51/500です。ちなみにWは第4系を表しています。左下図郭線上の図郭交さ記号の地図上の位置が原点(0.0000.000)からX座標+40q80,Y座標-92q20の位置である事を示しています。

 (2)で正の値であれば,左側(西)に向かって距離を読み取るのですが,愛媛県の場合は,Y座標は,ほとんどが負の値となります。そこで境界から右側()のトンボマークが作る直線の位置に向かって水平方向の距離を読み取ります。

X座標については,愛媛県では正の座標だけですので境界から下側トンボまでの垂直な距離を読み取ります。距離は地図の縮尺1/500で読み取ります。


   (図2)   拡大部分

 

   5W +40.80/−92.20

このように読み取った距離を地籍調査時の座標とします。この場合,左下図郭線上の図郭交さ記号の座標値が,X座標+40.80,Y座標-92.20とあります。これはキロ単位での表示ですのでX座標+40800.00,Y座標-92200.00になります。

X座標については,そのまま基準にしたトンボの位置の座標値を加えれば地籍調査上の公共座標になります。

図のA位置は +40800.0041.80=+40841.80 です。

 

またY座標については,図郭内の交さ記号からマイナス方向に距離を読み取りました。読み取った距離は負の符号になりますので,Y軸の右側にある図郭内の交さ記号の座標値の値から読み取った距離を加えれば地籍調査上の座標になります。図のA位置については,この場合,左下図郭線上の図郭交さ記号の座標値をあらわすY座標-92200.00を使用せず,右側(東側)の図郭内の区郭交さ記号からの距離を使用します。これは図郭線上の図郭交さ記号から10pの位置にありますので1/500の縮尺の地図では50mの距離となり,-9220050-92150が東側の図郭線区郭交さ記号でのY座標ということになります。

この数値に対して読み取った距離を加えると,図のA位置については

-92150(-34.00)-92184.00  となります。

以上の方法から

X座標           Y座標

A 40,800 +41.80= 40841.80   -92,150(-34.00)-92184.00

B 40,800 +38.20= 40838.20   -92,150(-19.45)-92169.45

 C 40,800 +25.30= 40825.30   -92,150(-16.95)-92166.95 

 D 40,800 + 9.00= 40809.00   -92,150(-27.00)-92177.00 

 E 40,800 +21.85= 40821.85   -92,150(-42.10)-92192.10

  となります。

 更に,この図面の中に表示のある石の図根多角点のↀの印についても読み取っておきましょう。この図根多角点は現実に観測され,成果として座標値を持っています。その座標値と読み取り値を比較することにより,地図上での位置が正しくプロットされているか,読み取りの座標に間違いはないか確認する事が出来ます。

 この座標値を使用して,A,B,C,D,E,Aで結ばれる1筆地の面積を座標法により計算してみると513.8825uになりました。この面積を登記面積と比較することにより境界の座標が正しく読み取れているか,正しく読み取れているがどうも面積が相違するという場合もあります。後日の登記処理についての心構えも出来ます。 

●人間の眼

ここで,ちょっと人間の眼の分解能について触れておく必要があると思います。人間の眼の能力は25p離れた場所で0.2oのものを識別出来るという事らしいのです。それではこのことをそのまま地図の読み取りに当てはめると,地図上の0.2oは1000分の1の図面ですと現地では20p,500分の1ですと10p以下のものは地図上からは人間の眼では判断出来ないという事になります。

地籍調査の図面上の境界線は大体0.1oの線で記載されているようですので,1000分の1で10p,500分の1では5p程度でしか識別出来ないというのが本当のようです。

したがって,ここでの読み取りについても,その程度でしか読み取る事が出来ないという事は良く理解しておいてほしいものです。

逆に考えれば,地図を作成する側のプロット出来る限界が解ります。

地図を復元する立場からすれば,これ以上追及する事の出来ない地図の精度・誤差範囲があるという事を知ることが出来ます。

 

●同一の座標系(位相)

そうこう言いながらも,埋石(図根多角点)と,地籍調査が測った1筆地の境界について同様の座標系(位相)に数字上はなります。

しかし,これは図面上だけの事であり,現実はそういう訳ではありません。片方の埋石については,当時の地籍調査であってもトランシットでトラバース測量が行われ,数値がその時点で提出されています。しかし1筆地は,その図根多角点に平板を据え,アリダードで角度を,テープで距離を観測し,その結果を直接平板にプロットしたものを,別の時期に,先程やっていただいた要領で,個人や役場が読み取りを行い,その数字を得たものだという事です。そういった事から,読み取りの座標値で境界をそのまま表わすと考えるのはいささか無理があると言えます。読み取りの値は,本来の境界を示す(探す)参考にはなりますが,実際の境界の座標値そのものではありません。ここでは,普通言われている公差がそのまま生じます。(地籍調査で,その1筆地を測った図根多角点がその土地を問題なく測れる状態で残っているという前提ですが。)つまり,読み取り値で復元出来た位置から公差の範囲の円を描いた場所に,本当の(地籍調査で測った)境界がありますよという事なのです。

したがって,境界を表わす本当の座標値は,もう一度,現地で確認をされた値と言う事が出来ます。

 

●新法14条地図での読み取り

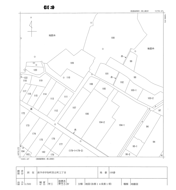
(3)は現在の法第14条地図ですが,地籍図14条地図と比較すると,図郭線については300400oの枠線でしたが,現在の法14条地図はA3判の用紙に合うように252250oの枠線のようです。どちらも右上と左下に図郭線の座標値が表示されています。

しかし,その座標値の表示は(図1)の左下の座標値は40.80-92.20のq表示に対し,(図3)の表示は+40743.972-91831.447m表示になり,桁数に相違があります。

14条地図は地籍図14条地図となった後,測量法の改正にともない日本測地系(旧測地系)から世界測地系(新測地系)へと変更された為,TKY2JGDによりパラメーター変換されました。先ほどのX座標+40.20qは+40200.000として+41179.191,Y座標-92.20q は-92200.000として-92440.501に変換されています。これは地図を測り直して精度が良くなっている訳ではなく,単純に同一位置の座標値が旧測地系から新測地系ではどのように表示されるか変換しただけです。

読み取りの内容については先ほどからの説明と変わるものではありませんし,作図をする過程に遡って処理を行った訳でもありませんので注意が必要です。

視覚的なものを数値に直したとしても,数値化した事により以降の劣化は免れますが,その時点で視覚から得られる多くの情報を逃した事も事実です。

また,地図の作成からの数値化であれば,数値地図としての値ですが,成果品が図解法により納められ,その成果品を改めて数値化したものは便宜的なものにすぎず,地図の精度が図解法の成果品より下がる事はあっても上がる事はありません。

分解能の精度が高いものを使用していると思いますが,図解法の成果品として出来あがったもの自体が5p単位を範囲とするものである以上,それをいくら性能の良い機械で読み取ってo単位で表示されていても,5p単位の範囲の精度以上のものではないのです。

新たな法14条地図から,先ほど説明した方法で読み取りを行っても問題はありません。隣接する図郭内の区郭交さ記号がありませんので,図郭線上の区郭交さ記号を使用しての読み取りとなります。読み取りの方法は地籍図14条地図と同様の理屈になります。

スキャナー等で読み取る場合もあるでしょうが,分解能がいくら良くても一度作成された地図以上の精度にはならない事は理解すべきです。

この新しい法14条地図ではↀの印はありますが,その下の石の表示がありません。

また,地籍図14条地図では,図郭枠付近の1筆地は図郭枠により分属されていますが,現在の法14条地図ではシームレスになっています。

また,地籍図14条地図をスキャナーで読み取る作業を行って現在の法14条地図としている為,その性質上0.3o以内は同一点として判断しているようです。その為地籍図14条地図で小さなガタとして表示されていたものが,同一点として判断され地図上から無くなっていたりしますので,地籍図14条地図(閉鎖された法14条地図)も調査しておく必要があります。







































第2章地籍図14条1項地図
地区でいつもの作業
     
前のページ  次のページ

トップへ
トップへ
戻る
戻る